एक्स्प्लोर
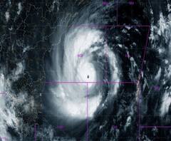
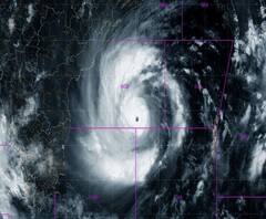
Amphan Cyclone Live
News
Nisarga Cyclone | अरबी समुद्रात कमी दाबाच्या क्षेत्रामुळे चक्रीवादळाचा धोका, राज्यात NDRF तैनात
News
Monsoon Update | तीन जूनपर्यंत महाराष्ट्रात चक्रीवादळ येण्याची शक्यता,8 जूननंतर महाराष्ट्रात मान्सून
India
Cyclone Amphan | अम्फान चक्रीवादळ पश्चिम बंगालच्या किनारपट्टीवर धडकलं
India
Cyclone Amphan | अॅम्फान चक्रीवादळ आज प. बंगाल-ओदिशाच्या समुद्रकिनारी धडकण्याचा इशारा, प्रशासन अलर्ट
शॉर्ट व्हिडीओ
Advertisement
Advertisement


















