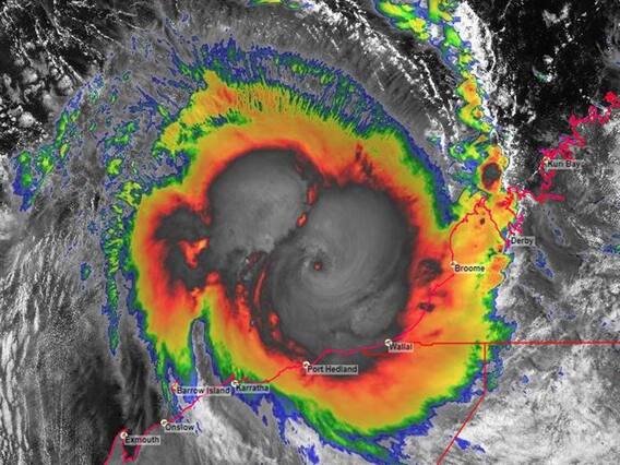
Cyclone Mocha : या वर्षातील पहिले चक्रीवादळ भारताच्या पूर्व किनारपट्टीवर धडकण्याची शक्यता आहे. भारतीय हवामान खात्याने (India Meteorological Department - IMD) 6 मे रोजी बंगालच्या उपसागरात चक्रीवादळ निर्माण होण्याची शक्यता वर्तवली आहे. हवामान खात्याने दिलेल्या माहितीनुसार, बंगालच्या उपसागरावर चक्रीवादळाची निर्मिती होण्याची शक्यता आहे. येत्या 48 तासांत या भागात कमी दाबाचा पट्टा निर्माण होऊ शकतो. त्यामुळे बंगाल आणि ओडिशाच्या किनारपट्टीवर 'मोचा' चक्रीवादळाची (Cyclone Mocha) निर्मिती होणार आहे. हवामान खात्याने येत्या पाच दिवसांसाठी अलर्ट जारी केला आहे. IMD नुसार पुढील दोन दिवस वायव्य भारतात जोरदार वाऱ्यासह हलका ते मध्यम पाऊस पडू शकतो.

अमेरिकेचे हवामान अंदाज मॉडेल 'ग्लोबल फोरकास्ट सिस्टम (GFS)' आणि युरोपियन सेंटर फॉर मीडियम रेंज वेदर फोरकास्ट (ECMWF) यांनीही बंगालच्या उपसागरावर चक्रीवादळ येण्याची शक्यता व्यक्त केली आहे. आयएमडीनेही अशीच भीती व्यक्त केली आहे.

IMD ने अलर्ट जारी केला

आयएमडीने दिलेल्या माहितीनुसार, बंगालच्या उपसागरावर चक्रीवादळ निर्माण होऊ शकते. स्कायमेट वेदर या खाजगी एजन्सीने म्हटले आहे की, मे महिन्याच्या पहिल्या 15 दिवसांत कोणतेही उष्णकटिबंधीय वादळ येण्याची शक्यता फारच कमी आहे. एप्रिलमध्ये भारताच्या समुद्रात एकही चक्रीवादळ दिसले नाही. एप्रिल महिन्यात उष्णकटिबंधीय वादळ न येण्याचे हे सलग चौथे वर्ष आहे.

 

जोरदार वादळासह पाऊस पडू शकतो

IMD ने दिलेल्या माहितीनुसार, उत्तर प्रदेशात मेघगर्जना, विजांचा कडकडाट, वादळ आणि पाऊस पडण्याची शक्यता असून अनेक ठिकाणी गारपीटही होऊ शकते. आयएमडीने पंजाब, उप-हिमालयीन पश्चिम बंगाल आणि सिक्कीम, अरुणाचल प्रदेश, आसाम आणि मेघालय, किनारी आंध्र प्रदेश आणि यानम, तेलंगणा, रायलसीमा, दक्षिण अंतर्गत कर्नाटक, तामिळनाडू, पुडुचेरी, कराईकल, केरळ आणि माहे येथे काही ठिकाणी मुसळधार पावसाचा अंदाज वर्तवला आहे.

चक्रीवादळांना नावं कशी दिली जातात? 

चक्रीवादळाच्या नावांसाठी दक्षिण आशियायी राष्ट्रांचा एक गट तयार करण्यात आला आहे. इथं देशांकडून वादळांच्या नावांचे पर्याय मागवण्यात येतात. या नावांची एक यादी तयार केली जाते. सध्याच्या घडीला तयार असणारी नावांची यादी ही इतकी मोठी आहे की, चक्रीवादळं कमी आल्यास 3 वर्षे ही नावं पुरेशी असतील. चक्रिवादळांची नावं निर्धारित करण्यासाठी काही मार्गदर्शक तत्व पाळली जाणं महत्त्वाचं असतं. यामध्ये कोणत्याही संवेदनशील नावांची निवड केली जात नाही. लिंगभेदी आणि धार्मिक तेढ निर्माण करणाऱी नावंही टाळली जातात. याशिवाय राजकीय नेते, ऐतिहासिक व्यक्ती यांची नावंही वादळांना देण्यात येत नाहीत.